



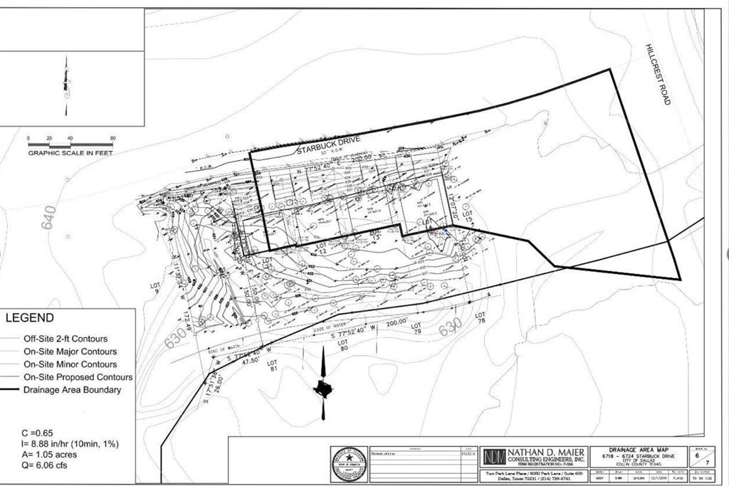
Rare find lot in far North Dallas backing to a creek and many trees. Ready to build your dream home? Enjoy the eastern and southern shade trees and country creekside feel, Osage Branch Creek, with a low-maintenance yard. Many hardwood trees, numerous established and some new. Quite street zoned single-family residential. No HOA dues. Easy access to the Dallas North Tollway and George Bush Turnpike. Convenient to shopping and restaurants. Plano ISD. Close proximity to Levine Academy Private School, K-12. BUILDING NOTES: Building sites have been approved by the City of Dallas and FEMA. The lot is platted. The lot can accommodate a 4,000 SqFt home. Electric is in; gas, water, and cable are available but not run. The House foundation is required to be slab on piers.
| 4 days ago | Listing updated with changes from the MLS® | |
| 4 days ago | Listing first seen on site |
Did you know? You can invite friends and family to your search. They can join your search, rate and discuss listings with you.